Weather

Latest Weather News

Arunachal Pradesh Weather: IMD forecasts heavy rainfall today

NewzVille Desk The India Meteorological Department (IMD) has forecast heavy rainfall over

Dusmanta Behera Dusmanta Behera

Telangana Heatwave: Temperature crosses 42 degree, Govt. urges people to take precautions

NewzVille Desk Telangana is reeling under a severe heatwave, with temperatures continuing

Dusmanta Behera Dusmanta Behera

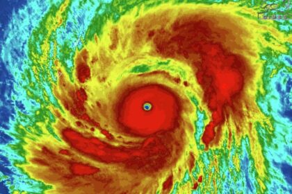
Typhoon Sinlaku moves over Pacific with 180 mph winds storms

NewzVille Desk NASA and Japan’s weather agencies showed sattellite image of ‘Super

Dusmanta Behera Dusmanta Behera

IMD Warns Heavy Rain and Thunderstorms Across Several Indian States

NewzVille Desk The India Meteorological Department (IMD) has forecasted heavy rainfall today

Dusmanta Behera Dusmanta Behera

Met Dept. predicts rain, snow likely over higher reaches in J&K

NewzVille Desk The Meteorological Department has predicted cloudy weather across Jammu and

Dusmanta Behera Dusmanta Behera

Weather Alert: IMD Warns Widespread Rain and Thunderstorms Through This Week

NewzVille Desk The India Meteorological Department (IMD) has predicted isolated to scattered

Dusmanta Behera Dusmanta Behera

Orange Alert for Thunderstorms, Hailstorms Across Multiple States Till Tomorrow

NewzVille Weather Desk India Meteorological Department (IMD) has issued an orange alert

Dusmanta Behera Dusmanta Behera

Himachal Weather: Met Dept. alerts for Thunderstorms, Lightning, and Hail in 10 Districts

NewzVille Weather Desk According to the Meteorological Department, light rain and snowfall

Dusmanta Behera Dusmanta Behera

IMD forecasts heavy rain in West Bengal, Assam, Meghalaya, Sikkim

NewzVille Weather Desk The India Meteorological Department has forecast heavy rainfall over

Dusmanta Behera Dusmanta Behera

Avalanche: DGRE Alerts for Higher Reaches of Gangtok and Pakyong

NewzVille Desk Defence Geo-informatics Research Establishment (DGRE), Chandigarh, has issued an avalanche

Dusmanta Behera Dusmanta Behera